• Welcome to TalkWeather!
    We see you lurking around TalkWeather! Take the extra step and join us today to view attachments, see less ads and maybe even join the discussion.
    CLICK TO JOIN TALKWEATHER
  • Current Tropical Systems
    Melissa

Hurricane Melissa



Unpopular because of this line right here: "But when those same winds encounter terrain, vegetation, and buildings, ground friction rapidly slows them down."

Yeah - that friction is what causes the damage, that wind hitting things that (usually) don't move.
 
Unpopular because of this line right here: "But when those same winds encounter terrain, vegetation, and buildings, ground friction rapidly slows them down."

Yeah - that friction is what causes the damage, that wind hitting things that (usually) don't move.
Dorian eye wall video disproves this. As does haiyan eye wall video.
The winds were screaming on land at ground level in both of those during landfall.
 
Sorry,
totally out of with all things weather and news related . Currently trying to work a full time job and also build a house all by myself.

Where does the models take the storm from here over the next few days?
I am in Southern Illinois and yes we could use rain but I need it to hold off a few days.
 
Sorry,
totally out of with all things weather and news related . Currently trying to work a full time job and also build a house all by myself.

Where does the models take the storm from here over the next few days?
I am in Southern Illinois and yes we could use rain but I need it to hold off a few days.
Current NHC track:

1761698463945.png
 
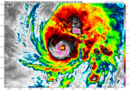
Unbelievable. Melissa has restored her eye and has intense convection surrounding it now.
View attachment 48150
Dont You Dare The Office GIF by hero0fwar
 
Josh Morgerman im willing to bet hasn't got service and is likely in the process of helping people out. A few times people have reported him quiet after hurricanes such as Dorian and he turned out fine. Hope he's okay though even as someone who's intercepted over 70 hurricanes. Melissa was likely the most intense he's ever went for im willing to wager.

On the other hand, Melissa wants to try go high end again..... Untouched Caribbean leads to this
 
With the suddenre-intensification, very heavy has been slamming the north/east part of Jamaica for the last 3-4 hours, really intense rainfall rates. I think we'll start to see some reports of major flooding around Kingston soon.

This whole island cannot catch a break
 
Last edited:
Y'know, when Humberto became a MH and became the first season since 1935 to have its first two hurricanes be major hurricanes, I kinda thought of the Labor Day Hurricane, and then quickly filed it under "1935 Things 2025 WON'T Copy".

This has been your episode of "Man, Lake Martin EF4's Predictions Suck!"

On a more somber note, my bold prediction is that we end up seeing a five digit death toll when all is said and done.
um, yeah, for death toll... i'll take the under. way under.
 
Melissa is improving even more in recent frames. It's got a small spot in its eye that's almost completely cleared out now.
About 10 miles in diameter? Getting wrapped by an eyewall? The irreplaceable eye returns...lol.
 
Back
Top