• Welcome to TalkWeather!
    We see you lurking around TalkWeather! Take the extra step and join us today to view attachments, see less ads and maybe even join the discussion.
    CLICK TO JOIN TALKWEATHER
  • Current Tropical Systems
    Melissa

Hurricane Melissa

Orographic lift and any channeling effect would have been after it turned north, and there's no doubt that the eastern side "blobs" fired off heavily right as it did that. I wondered at the time if maybe there was some channeling going there, as it looked like a convection traffic jam. I expect there's a lot that will be studied about Melissa for years to come.

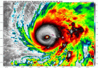
Fascinating. I didn't notice the blobs, and am not familiar with the topography of Jamaica, so wasn't watching that closely. I did notice the eye stayed symmetrical while shrinking as it went inland. A shrinking eye is usually associated with a strengthening hurricane, right?

I think it was the NHC that said the wind was supposed to be up to 30% stronger up in the mountains, which seems almost impossible to believe, because that would calculate from 185 mph sustained winds to 240 mph, and 215 mph gusts to 280 mph.

There's a lot of people holding their breath currently, hoping that what might've just happened, didn't actually happen.
 
From Jamaican government briefing, emergency responders are likely going to have to wait a bit before mounting a wider response. Sounds like there are a variety of different logistical issues, and rescues during landfall were mostly impossible. Additionally, outside aid will not be coming immediately. On the plus side, Kingston's airfields should be in at least okay shape, so cargo planes will be able to land there.
 
Fascinating. I didn't notice the blobs, and am not familiar with the topography of Jamaica, so wasn't watching that closely. I did notice the eye stayed symmetrical while shrinking as it went inland. A shrinking eye is usually associated with a strengthening hurricane, right?

I think it was the NHC that said the wind was supposed to be up to 30% stronger up in the mountains, which seems almost impossible to believe, because that would calculate from 185 mph sustained winds to 240 mph, and 215 mph gusts to 280 mph.

There's a lot of people holding their breath currently, hoping that what might've just happened, didn't actually happen.
They have a tendency to tighten up as they make landfall, like it almost shrinks away from the land - I've seen that in many landfalling systems. In this case, I can not imagine what that would have unleashed.

The mountains are going to be more of a mess than I think many will have been expecting. Wind channeling will definitely have occurred, just like it does in big cities around skyscrapers, albeit on a much broader scale. So there will be places where gusts were really enhanced by the topography. But similarly, there will likely be places that were sheltered, being in a lucky spot. I hope it's not as terrible as we fear, and I am also hopeful because of the path of the storm that some eastern areas of the island may be relatively OK overall. Anxious to see.
 
There's only one highway connecting Kingston to Black River and Montego bay (red line in first image). It's very likely the Southeast section of the Island will be inaccessible by road for several days or weeks. The hurricane hit right at the mountains where there are the least alternate routes.

1761690108207.png


1761690603702.png
 

Attachments

  • 1761690100683.png
    1761690100683.png
    250.8 KB · Views: 0
  • 1761690479242.png
    1761690479242.png
    3.2 MB · Views: 0
Core of Melissa took a beating but is still intact and already recovering. I think a return to cat 5 is unlikely at this point, but a strong cat 4 is reasonable.
She sure is disturbingly symmetrical still. Not much time unimpeded though. Seems to have jogged east some after coming off the coast again.
 
Side note, iCyclone aka Josh Morgermann was holed up in a small town called Crawford on the southeast coast. The northeast eyewall went directly over that location at peak strength.

He hasn’t tweeted since 10am. He survived Dorian and knows what he’s doing, but it’s still a bit unnerving. He’s probably out helping with rescues or immediate relief efforts right now. If he made it through he will have the most violent hurricane footage of all time, 210+ mph gusts on camera for an hour. Pure terror
 
This Eastern turn is happening right over the northern section of the main highway, which really sucks because that was the best chance of getting supplies and rescue crews in. It's literally traveling parallel with that highway. I'm assuming the Southern route is already completely inundated or even destroyed.

1761690927054.gif
 
Back
Top