• Welcome to TalkWeather!
    We see you lurking around TalkWeather! Take the extra step and join us today to view attachments, see less ads and maybe even join the discussion.
    CLICK TO JOIN TALKWEATHER
  • Current Tropical Systems
    Melissa

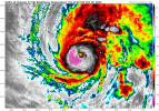
Hurricane Melissa

More video from Black River. It should be noted that this location (Brigade Street) is a good quarter mile away from the coast.



I haven't seen any aftermath / damage reports from Savannah la mer east to Black River. That includes Crawford, New Hope, White House, etc. They faced the worst of Melissa. Might be awhile before we see what happened there.
 
The Prime Minister of Jamaica said that no structure on the island can withstand a Category Five according to the Associated Press.


The quote in the article you linked actually said "There is no infrastructure in the region that can withstand a Category 5," which is quite a different thing than "no structure," and I would say his statement is pretty accurate. Streets, utilities, etc, can't stay totally operational when a C5 is in the picture. Basically, he's saying Jamaica did the best as they could in the face of a C5, and any country in the region would be having similar issues with their infrastructure.
 
I don't see how even well built structures will survive gusts upwards of 220 mph.
The safest place is underground, but then the flooding, so........
Are hurricane winds of this strength capable of ripping/sweeping a home off of its foundation like winds in an EF-5 tornado? Or does the updraft in a tornado also contribute to that sort of damage?
 
Are hurricane winds of this strength capable of ripping/sweeping a home off of its foundation like winds in an EF-5 tornado? Or does the updraft in a tornado also contribute to that sort of damage?
Only the storm surge can cause true EF5 style damage. Wind damage can get around EF3 levels visually but it's obviously not as simple as a comparison as you might think,
 
Back
Top