• Welcome to TalkWeather!
    We see you lurking around TalkWeather! Take the extra step and join us today to view attachments, see less ads and maybe even join the discussion.
    CLICK TO JOIN TALKWEATHER
  • Current Tropical Systems
    Melissa

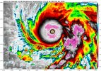
Hurricane Melissa

There’s a chance Melissa may be making landfall or close too by the time recon gets in it. So we’ll probably have a very weakened storm data wise. Likely meaning that the peak intensity has already been missed.
Ryan hall said he suspects a 895mb 190mph strength.
 
There’s a chance Melissa may be making landfall or close too by the time recon gets in it. So we’ll probably have a very weakened storm data wise. Likely meaning that the peak intensity has already been missed.
Ryan hall said he suspects a 895mb 190mph strength.
Heard it was just barely under 900 mb and rounded to 900 mb?
 
the structure is improving even further on approach to landfall.
My unofficial peak is 897mb 185MPH

This this likely hasn’t stopped intensifying since the last recon plane.
 
Hurricane Gilbert in 1988 became the second strongest Atlantic hurricane on record with a pressure of 888 mb…Gilbert made landfall in Jamaica as a Category 3 hurricane…anything is possible… and now the unthinkable is happening…a Category 5 Hurricane is just hours from making a potentially catastrophic and devastatingly historic landfall in Jamaica…that storm is Hurricane Melissa

Let us pray for those in the path of destruction that this storm will bring upon them….and may everyone who is in the midst of Melissa stay safe and sound…
IMG_0241.jpeg
 
Back
Top