tornado examiner
Member
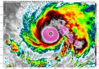
Also I'm fairly certain this is the longest a major Atlantic Hurricane has gone on without a disruptive full EWRC.
Follow along with the video below to see how to install our site as a web app on your home screen.
Note: This feature may not be available in some browsers.
Departs in 6 hoursUhm. When's the next recon flight scheduled? One last pass shortly but the other plane is leaving.
OopsThe original tweet is referring to the morning NOAA flight.
I agree just because we probably only have two more drops. I doubt the first pass in the morning (scheduled to be about 630 am EDT) will get there in time.Final overnight prediction: this doesn't go sub-900. Whether it's recon missing the peak or the actual intensity not matching with the appearance, what I've been seeing from this storm so far makes me think we'll have a peak pressure of perhaps 902 as on the previous dropsonde.
Now I must sleep.