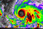
An absolutely unreal storm. It's really managed to maintain both consistent, intense CDO convection and, as @Blountwolf has mentioned before, she seems to have a continuous stream of robust convection on the east/southeast side.

Follow along with the video below to see how to install our site as a web app on your home screen.
Note: This feature may not be available in some browsers.
Completed another MERC? Not sure, but you're not seeing things.Somehow the eye is expanding. What does that mean?
Taps the sign ^^^She won't struggle to replace her eyewall if she likes.
IJS.
Not to toot my own horn. But...whoever said this looked like a super typhoon in the atlantic earlier was bang on. I don't remember the last atlantic storm that was that structurally perfect
There are two HH aircraft in the storm right now, an AF C130 and NOAA's Kermit.I understand fully that hurricane hunters don’t want to fly in this thing or fear monger, but there also has to be another way to get accurate information safely. There’s no way this storm in my mind is anything less than 190 mph winds right now.
I’m just trying to save more lives because there’s a big difference in winds between 175 and 190. Maybe not so much in terms of actual overall damage that occurs, but the kind of structure you could potentially ride it out safely. A 15 mph difference doesn’t seem like much, but this difference could mean the difference between a concrete building withstanding or toppling over in these kind of winds.
Again, try flying towards it blind in 200+mph crosswinds through a thunderstorm and see how you do. My hats are still off to those guys if they miss it 50 times.It's completely stationary if they miss the center IMA BE LIVID.
The mbs should start dropping If it's starting to look how it's looking, it may just be lagging behindStill getting pressures around 910 mb from HH despite impressive IR appearance
Eh, I wouldn't say that. Impressively, regarding my question from last night, Melissa seemed to have her cake and eat it too - it indeed reached C5, but its windspeed and pressure haven't caught up to its structure all that much. Had this been a month or so earlier Wilma would've been abdicating the throne against her will right now, and Allen would've been officially old news, but since Melissa chose to arise in late October, it's experiencing Eta Syndrome.There’s no way this storm in my mind is anything less than 190 mph winds right now.