• Welcome to TalkWeather!
    We see you lurking around TalkWeather! Take the extra step and join us today to view attachments, see less ads and maybe even join the discussion.
    CLICK TO JOIN TALKWEATHER

Hurricane Melissa

This is a little bit of a tangent, but this video is a good example of how 30 inches of rain can destroy infrastructure, even if well-prepared for.

CSB is one of my favorite channels on YouTube. A real gem.
 
1761516068921.png

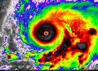
It is very unusual to watch one just basically sit in one place at this strength. A testament to the depth of the heat content in the area - upwelling just brings up more heat from the depths.
 
Also the eye size appears to have stabilized and is not visibly shrinking anymore.

Eye wall merger is definitely what is happening and is going smoothly. This thing is not done strengthening yet I fully suspect an upgrade to category 5 with the new recon data.
 
It really doesn't get more structurally well-defined than this. True upper-echelon cyclonic morphology going on with Melissa right now.
goes19_ir_13L_202510262035.gif
 
Over the next few hours, we are about to witness a truly historic storm. This is simply upper echelon. I've been tracking weather two years just, but everything spells to this being remembered for a long WHILE.
No EWRC in the near future. Completed eye wall merger cycle. The western side is about to start recovering after a bit of sheer. And cat 5 intensity is likely gonna be identified in the next advisory.
 
Back
Top