• Welcome to TalkWeather!
    We see you lurking around TalkWeather! Take the extra step and join us today to view attachments, see less ads and maybe even join the discussion.
    CLICK TO JOIN TALKWEATHER

2025 Global Tropical Cyclone Season Discussion

G
The 1981-2010 average is 26 points, but I used the 1991-2020 average for all of the years above.

I am modifying the years 2011-2020 to match the 1981-2010 average below:

2011 - 36 (+10)
2012 - 36 (+10)
2013 - 16 (-10)
2014 - 20 (-6)
2015 - 20 (-6)
2016 - 33 (+7)
2017 - 47 (+21)
2018 - 33 (+7)
2019 - 35 (+9)
2020 - 65 (+39)
thanks @Atlantic
 
Tropical Depression 32W has taken a dip southwards as it continues to organize its convection and banding. The further south a potential new center forms, the greater the chance for a higher intensity, due to very warm sea surface temperatures, high oceanic heat content, light wind shear and favorable convergence in the atmosphere.

The next international name in the Western Pacific is Fung-wong and the next Philippine name is Uwan, both of these names will likely be used in the coming days.
 
Tropical Depression 32W is still a bit broad, and it will take some time to get organized and to form a solidified core, but once it does, it will likely RI and become a major typhoon.

Typhoon Kalmaegi briefly reached Category 2 on the SSHWS before moving though the Philippines, and it weakened to a Category 1 before regaining Category 2 again this morning in the South China Sea. It could become a major typhoon briefly despite the current JTWC advisory not expecting a major typhoon peak (current forecast has 95 kts as the peak)
 
Tropical Depression 32W is still a bit broad, and it will take some time to get organized and to form a solidified core, but once it does, it will likely RI and become a major typhoon.

Typhoon Kalmaegi briefly reached Category 2 on the SSHWS before moving though the Philippines, and it weakened to a Category 1 before regaining Category 2 again this morning in the South China Sea. It could become a major typhoon briefly despite the current JTWC advisory not expecting a major typhoon peak (current forecast has 95 kts as the peak)
Tropical Depression 32W has been upgraded to Tropical Storm Fung-Wong by JMA.

WTPQ51 ‎RJTD ‎051800
RSMC ‎TROPICAL ‎CYCLONE ‎ADVISORY
NAME ‎ ‎TS ‎2526 ‎FUNG-WONG ‎(2526) ‎UPGRADED ‎FROM ‎TD
ANALYSIS
PSTN ‎ ‎051800UTC ‎10.2N ‎142.1E ‎FAIR
MOVE ‎ ‎NNW ‎11KT
PRES ‎ ‎998HPA
MXWD ‎ ‎035KT
GUST ‎ ‎050KT
30KT ‎ ‎240NM ‎NORTHEAST ‎180NM ‎SOUTHWEST
FORECAST
24HF ‎ ‎061800UTC ‎11.6N ‎139.9E ‎50NM ‎70%
MOVE ‎ ‎WNW ‎06KT
PRES ‎ ‎992HPA
MXWD ‎ ‎045KT
GUST ‎ ‎065KT
48HF ‎ ‎071800UTC ‎13.4N ‎135.8E ‎85NM ‎70%
MOVE ‎ ‎WNW ‎11KT
PRES ‎ ‎985HPA
MXWD ‎ ‎055KT
GUST ‎ ‎080KT
72HF ‎ ‎081800UTC ‎14.9N ‎129.6E ‎120NM ‎70%
MOVE ‎ ‎W ‎15KT
PRES ‎ ‎965HPA
MXWD ‎ ‎075KT
GUST ‎ ‎105KT
96HF ‎ ‎091800UTC ‎17.0N ‎123.6E ‎150NM ‎70%
MOVE ‎ ‎WNW ‎15KT
PRES ‎ ‎940HPA
MXWD ‎ ‎090KT
GUST ‎ ‎130KT
120HF ‎101800UTC ‎18.0N ‎120.1E ‎180NM ‎70%
MOVE ‎ ‎WNW ‎09KT
PRES ‎ ‎965HPA
MXWD ‎ ‎075KT
GUST ‎ ‎105KT ‎=
 
Typhoon Kalmaegi becomes the 5th major typhoon of the WPAC season, and the 22nd major cyclone of this year…
IMG_0583.jpeg
 
Not the JTWC being funny with Tropical Depression Fung-Wong, because the name could translate to mean phoenix or wind, and Fung-Wong is expected to become a major typhoon in the near future.
IMG_0591.jpeg
 
Last edited:
Typhoon Kalmaegi (ex-Tino) intensified to 110 kts (125 mph), just shy of C4 status on the SSHWS. It has made landfall in Vietnam and is forecast to quickly weaken overland.

Fung-Wong has intensified into a TS by the JTWC as well now, and the forecast cone has shifted a bit southward.
 
Typhoon Kalmaegi (ex-Tino) intensified to 110 kts (125 mph), just shy of C4 status on the SSHWS. It has made landfall in Vietnam and is forecast to quickly weaken overland.

Fung-Wong has intensified into a TS by the JTWC as well now, and the forecast cone has shifted a bit southward.
Correction:
It actually reached 115 kts (130 mph) and became a Category 4 on the SSHWS.
IMG_0611.jpeg
 
lol, welcome to the future!

It says December 19th, 2025 but it’s not even December yet. It’s November 7th, 2025.

This is a real invest by the way, it’s supposed to be Invest 96S over near Jakarta, which has the potential to become the first Australian Region tropical cyclone of the 2025-26 season, with some sort of support across the models for the timeframe November 14 to November 18-19 for the possibility of it forming into a TC.
IMG_0659.jpeg
 
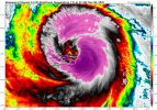
Typhoon Fung-wong (Typhoon Uwan in the Philippines) has reached 110 kts (125 mph) and it has become the 6th major typhoon of this year’s Pacific Typhoon season and 23rd major tropical cyclone worldwide. It is possible that it reaches Category 4 SSHWS before landfall in the northern Philippines in a few days.
IMG_0694.jpeg
 
Typhoon Fung-wong briefly peaked at 115 kts (130 mph) overnight U.S. time and it struck the northern Philippines, and it is now weakening over the mountains of the northern Philippines. Current intensity according to the JTWC is 100 kts (115 mph), so it is barely hanging on to major cyclone strength. It is likely to move into the South China Sea and curve up towards Taiwan, before landfalling there as a continuously weakening tropical cyclone. Its remnants will reemerge into the South China Sea afterwards.
 
Welcome back Australian Region

IMG_0846.jpeg
 
Back
Top