• Welcome to TalkWeather!
    We see you lurking around TalkWeather! Take the extra step and join us today to view attachments, see less ads and maybe even join the discussion.
    CLICK TO JOIN TALKWEATHER

Enhanced Fujita Ratings Debate Thread

Regarding Vilonia... could this be the most underrated damage point EVER? This home along Williams Lake (about a half mile northeast of Parkwood Meadows) was given an EF1 rating... Not even joking.
Reminds me of that one image from one of the 12/10/21 tornadoes that was literally a brick building completely slabbed and arguably granulated, slapped with an EF2 “interior rooms standing” rating iirc. This has to be a mistake, they couldn’t possibly have intended this to be rated EF1 damage - otherwise this is simply incompetence. Honestly I wouldn’t be surprised though, considering how poorly done that survey was.
 
Reminds me of that one image from one of the 12/10/21 tornadoes that was literally a brick building completely slabbed and arguably granulated, slapped with an EF2 “interior rooms standing” rating iirc. This has to be a mistake, they couldn’t possibly have intended this to be rated EF1 damage - otherwise this is simply incompetence. Honestly I wouldn’t be surprised though, considering how poorly done that survey was.
teest.png

Admittedly, there IS an EF2 damage point just out of frame at the bottom left, but it's a mobile home.
 
There might be enough info here to make a calculation on the Tuscaloosa Railroad Bridge. Either way, I found some really detailed pics of it.

The bridge was 564 feet long and rose 120 feet above the streambed.

The one that needs looked as weighed 34 tons and was rotated and thrown approximately 100 feet straight up hill. I believe it's the shortest one on the far right.

Here's the before and after
View attachment 46985
View attachment 46986

Here's as many angles as I can get of it.

View attachment 46987
View attachment 46988
View attachment 46989
View attachment 46990
View attachment 46991
View attachment 46994

Based on these photos it looks like the trestle was probably 40 feet tall. Assuming the 4 outer steel columns are a foot wide that'd make the starting surface area about 640 square feet. Not sure how to calculate all the inner beams and cross sections. Probably can just do a rough estimate and doesn't have to be too precise. I wonder what forces were required to loft it that far without even considering the concrete pilings it was anchored to.

Another interesting tidbit about this area:

"More than 600 feet of steel track was lost, much of which was left warped
and trailing into the forest. Kevin Laws, the Science and Operations Officer
at the NWS in Birmingham, stated in episode 797 of the Weather Brains
podcast that 'I've never seen railroad tracks that were bent into big U-
shapes. They were actually touching end to end ... the train ties, the wood
pieces that go under the track ... they were being dug up out of the ground
and slung fifteen miles away, that's just incredible.' "
View attachment 46992
View attachment 46993
I'd say take a shot emailing the NWS office. Be cordial and you never know what might happen. At the very least, you'll get some insight.
 
Hi all! New user here.

I'm probably the first Irish person to be on this forum, so that's a cool thing. I decided to finally step into the forum after Enderlin got rated EF5, and get in the ring with all of you. I hope to bring level headed discussion to the forum :)

That being said, some of the wording from Kevin Laws is absolutely absurd. Tuscaloosa was absolutely a vicious tornado and i have no doubt it was a EF5 given this new precedent and what we're putting into use with the 50 m thing. Those houses between Tuscaloosa in the Holt area give decent credence too, although i am unsure if those were well-built. Would anyone happen to have information on that?
 
Hi all! New user here.

I'm probably the first Irish person to be on this forum, so that's a cool thing. I decided to finally step into the forum after Enderlin got rated EF5, and get in the ring with all of you. I hope to bring level headed discussion to the forum :)

That being said, some of the wording from Kevin Laws is absolutely absurd. Tuscaloosa was absolutely a vicious tornado and i have no doubt it was a EF5 given this new precedent and what we're putting into use with the 50 m thing. Those houses between Tuscaloosa in the Holt area give decent credence too, although i am unsure if those were well-built. Would anyone happen to have information on that?
Howdy and welcome.
 
There might be enough info here to make a calculation on the Tuscaloosa Railroad Bridge. Either way, I found some really detailed pics of it.

The bridge was 564 feet long and rose 120 feet above the streambed.

The one that needs looked as weighed 34 tons and was rotated and thrown approximately 100 feet straight up hill. I believe it's the shortest one on the far right.

Here's the before and after
View attachment 46985
View attachment 46986

Here's as many angles as I can get of it.

View attachment 46987
View attachment 46988
View attachment 46989
View attachment 46990
View attachment 46991
View attachment 46994

Based on these photos it looks like the trestle was probably 40 feet tall. Assuming the 4 outer steel columns are a foot wide that'd make the starting surface area about 640 square feet. Not sure how to calculate all the inner beams and cross sections. Probably can just do a rough estimate and doesn't have to be too precise. I wonder what forces were required to loft it that far without even considering the concrete pilings it was anchored to.

Another interesting tidbit about this area:

"More than 600 feet of steel track was lost, much of which was left warped
and trailing into the forest. Kevin Laws, the Science and Operations Officer
at the NWS in Birmingham, stated in episode 797 of the Weather Brains
podcast that 'I've never seen railroad tracks that were bent into big U-
shapes. They were actually touching end to end ... the train ties, the wood
pieces that go under the track ... they were being dug up out of the ground
and slung fifteen miles away, that's just incredible.' "
View attachment 46992
View attachment 46993
Did the math (if yall want i can post it),

Short answer: Atleast 246 MPH.
 
Did the math (if yall want i can post it),

Short answer: Atleast 246 MPH.
Lucky we got someone here who is Math smart, appreciated.
Calculate Zach Galifianakis GIF
 
Did the math (if yall want i can post it),

Short answer: Atleast 246 MPH.
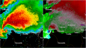
Oh, wow. Can't say I'm surprised given the descriptions. This thing seriously needs a reanalysis because i think there's enough proof to justify a rating here... Its VROT was not lying when this thing came into Tuscaloosa.
 

Attachments

  • Radar_image_of_the_2011_Tuscaloosa_tornado_April_27,_2011_2210Z.png
    Radar_image_of_the_2011_Tuscaloosa_tornado_April_27,_2011_2210Z.png
    286.5 KB · Views: 0
Oh, wow. Can't say I'm surprised given the descriptions. This thing seriously needs a reanalysis because i think there's enough proof to justify a rating here... Its VROT was not lying when this thing came into Tuscaloosa.

So how does someone from Ireland get so interested in U.S. tornadoes? I can't imagine tornadoes are too common there although I know you can get some pretty vicious windstorms with midlatitude cyclones (including ex-hurricanes) coming off the Atlantic.
 
There might be enough info here to make a calculation on the Tuscaloosa Railroad Bridge. Either way, I found some really detailed pics of it.

The bridge was 564 feet long and rose 120 feet above the streambed.

The one that needs looked as weighed 34 tons and was rotated and thrown approximately 100 feet straight up hill. I believe it's the shortest one on the far right.

Here's the before and after
View attachment 46985
View attachment 46986

Here's as many angles as I can get of it.

View attachment 46987
View attachment 46988
View attachment 46989
View attachment 46990
View attachment 46991
View attachment 46994

Based on these photos it looks like the trestle was probably 40 feet tall. Assuming the 4 outer steel columns are a foot wide that'd make the starting surface area about 640 square feet. Not sure how to calculate all the inner beams and cross sections. Probably can just do a rough estimate and doesn't have to be too precise. I wonder what forces were required to loft it that far without even considering the concrete pilings it was anchored to.

Another interesting tidbit about this area:

"More than 600 feet of steel track was lost, much of which was left warped
and trailing into the forest. Kevin Laws, the Science and Operations Officer
at the NWS in Birmingham, stated in episode 797 of the Weather Brains
podcast that 'I've never seen railroad tracks that were bent into big U-
shapes. They were actually touching end to end ... the train ties, the wood
pieces that go under the track ... they were being dug up out of the ground
and slung fifteen miles away, that's just incredible.' "
View attachment 46992
View attachment 46993
Hold on. I promise I won't derail the thread too much but I noticed you used the verb-past participle construction ("needs looked at"). You're from Iowa, right? I never knew Iowans used said construction.

In central PA, EVERYONE does.

 
So how does someone from Ireland get so interested in U.S. tornadoes? I can't imagine tornadoes are too common there although I know you can get some pretty vicious windstorms with midlatitude cyclones (including ex-hurricanes) coming off the Atlantic.
I found Pecos Hank's videos a while back while searching for hurricane videos (Irony) and I think i seen his El Reno one and it just clicked. The very first event I tracked was 2/26/23 with several embedded tornadoes, including the Cheyenne EF2 (arguably deserved a higher rating) and the Norman EF2 as well. Windstorms are pretty common around here and the season for them is starting actually as well around now? Since 2023, it's been a continuous learning journey really! What a time to get into weather!
 
Did the math (if yall want i can post it),

Short answer: Atleast 246 MPH.
To add on to this, a tornado near Kinzua PA dismantled a railway trestle that was actually quite famous in 2003, which was rated F1. The engineers concluded that winds of only around 90-100 mph were necessary to do that given the degradation of some of the anchoring systems. By far the most impressive feat is the displacement of this trestle up the hill.
 
Hold on. I promise I won't derail the thread too much but I noticed you used the verb-past participle construction ("needs looked at"). You're from Iowa, right? I never knew Iowans used said construction.

In central PA, EVERYONE does.

I would be so confused by your question if I hadn't just seen a video about this yesterday! Lol I grew up in Tennessee so that must be where I got it from. Crazy how regional so much language is like that.
 
To add on to this, a tornado near Kinzua PA dismantled a railway trestle that was actually quite famous in 2003, which was rated F1. The engineers concluded that winds of only around 90-100 mph were necessary to do that given the degradation of some of the anchoring systems. By far the most impressive feat is the displacement of this trestle up the hill.
Here's a photo of the bridge in particular. This tornado was associated with a major derecho on top, with a pretty wicked radar presentation too!
 

Attachments

  • 6158270308_244e0079a5_b.jpg
    6158270308_244e0079a5_b.jpg
    275.3 KB · Views: 0
  • 519045252_1315971090535694_8035927712478121652_n.jpg
    519045252_1315971090535694_8035927712478121652_n.jpg
    100.7 KB · Views: 0
Hi all! New user here.

I'm probably the first Irish person to be on this forum, so that's a cool thing. I decided to finally step into the forum after Enderlin got rated EF5, and get in the ring with all of you. I hope to bring level headed discussion to the forum :)

That being said, some of the wording from Kevin Laws is absolutely absurd. Tuscaloosa was absolutely a vicious tornado and i have no doubt it was a EF5 given this new precedent and what we're putting into use with the 50 m thing. Those houses between Tuscaloosa in the Holt area give decent credence too, although i am unsure if those were well-built. Would anyone happen to have information on that?
Welcome... and 10/10 choice on the profile picture!

Regarding the Holt-Peterson homes, most of them weren't well constructed. There was one newly built home that was plausibly well constructed, but it wasn't surveyed unfortunately.

But regardless of the home's construction, the main arguments for "Tuscaloosa was an EF5" are the train trestle, coal cars, and now the track itself being ripped up.
 
Welcome... and 10/10 choice on the profile picture!

Regarding the Holt-Peterson homes, most of them weren't well constructed. There was one newly built home that was plausibly well constructed, but it wasn't surveyed unfortunately.

But regardless of the home's construction, the main arguments for "Tuscaloosa was an EF5" are the train trestle, coal cars, and now the track itself being ripped up.
Thanks! It's been a long serving profile on all socials. Yeah, regardless of those homes, all 3 things you listed give a lot of certainty into how high end this tornado was.
 
As already mentioned, the 2003 Kinzua Bridge tornado was only rated F1 because it was a poorly maintained, 100+ year old structure. It makes total sense that even a moderately strong tornado could cause the bridge to oscillate back and forth and stretch the already badly corroded anchoring bolts beyond their breaking point.

The tornado did pick up a few of the trestles and set them back down. One could argue that's evidence the Kinzua tornado was stronger than F1, but regardless... it didn't take a trestle and throw it 100 feet up a hill. Nowhere near as impressive as Tuscaloosa.
 
I’m metaphorically glaring at NWS Lubbock right now. However, did the debarking of mesquite trees in Matador occur before or after the tornado hit town? We have to keep in mind that “sandpapering” refers to particulate debarking, meaning debarking not caused by large pieces of debris. Regardless, I think they can at LEAST upgrade to EF4 now.

This opens up Buckeye, Bassfield, and Buttermilk, KS 2008 (obscure one but look it up in the database) for EF5 upgrades.

Quite a lot of interesting tornadoes on May 23, 2008.

Highlights:

Clark and Kiowa counties Ef3: "an oil tank battery was carried 1.8 miles into a grove of trees"

Osgood, KS EF3: "Near Osgood, this large wedge tornado destroyed an old stone house, denuded and debarked trees, killed 5 head of cattle, downed numerous power poles, and carried a farm implement 1/2 of a mile away from where it originated."

Harper County, OK EF3: "A massive, intense tornado caused major damage to two homes, including one that was destroyed. A workshop building was also destroyed, with a semi-cab and a horse trailer stored inside being thrown 50 yards"

Buttermilk, KS EF3: " In Kansas, the tornado reached EF3 strength, where several head of cattle were killed, an oil tank was found 2 miles away from where it originated, and several trees were sandblasted and completely debarked. Several antique vehicles were thrown long distances as well, a few of which were never located (likely dropped into isolated ravines in the area)."

Pratt County, KS EF3: "Tornado lofted a car from Highway 54 and carried it 567 yards through the air before dropping it into a wheat field, killing the couple inside and leaving the vehicle unrecognizable."

I have no idea what an oil tank battery is.
 
In that WeatherBrains episode, I think the idea of "who cares about the ratings" was nicely put to rest as well by Rick Smith and Kim Klockow. The people that suffered through these tornadoes want to know just how bad it was, and, like it or not, no other method than the scale can wrap that up in one, succinct number.
 
Regarding Vilonia... could this be the most underrated damage point EVER? This home along Williams Lake (about a half mile northeast of Parkwood Meadows) was given an EF1 rating... Not even joking.
web1_tornadoes-foundation_0.jpg
Robinson is a deeply disturbed individual.


Quite a lot of interesting tornadoes on May 23, 2008.

Highlights:

Clark and Kiowa counties Ef3: "an oil tank battery was carried 1.8 miles into a grove of trees"

Osgood, KS EF3: "Near Osgood, this large wedge tornado destroyed an old stone house, denuded and debarked trees, killed 5 head of cattle, downed numerous power poles, and carried a farm implement 1/2 of a mile away from where it originated."

Harper County, OK EF3: "A massive, intense tornado caused major damage to two homes, including one that was destroyed. A workshop building was also destroyed, with a semi-cab and a horse trailer stored inside being thrown 50 yards"

Buttermilk, KS EF3: " In Kansas, the tornado reached EF3 strength, where several head of cattle were killed, an oil tank was found 2 miles away from where it originated, and several trees were sandblasted and completely debarked. Several antique vehicles were thrown long distances as well, a few of which were never located (likely dropped into isolated ravines in the area)."

Pratt County, KS EF3: "Tornado lofted a car from Highway 54 and carried it 567 yards through the air before dropping it into a wheat field, killing the couple inside and leaving the vehicle unrecognizable."
Yeah I mentioned Buttermilk as a good candidate for re-analysis a few pages back. I was mostly focusing on the particulate debarking, but I forgot that there was also incredibly impressive lofting of heavy objects,
 
Back
Top