Follow along with the video below to see how to install our site as a web app on your home screen.
Note: This feature may not be available in some browsers.

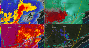
What’s going on?View attachment 47961
i think we need a tornado warning now ...
Instead we get a Flash Flood Warning.View attachment 47961
i think we need a tornado warning now ...
Keeping it in this thread since it's the same system, but this storm has persisted for hours. It underwent a productive merger over White City, and continues to show at least some rotation, with occasional bursts of strong mesocyclonic activity.Yep - very strong couplet (NROT = 3.0+) went right over Mexico Beach.
View attachment 47986